✩草花の小さな実♪
斑入りの野葡萄♪
花が咲き終わると小さな実が~
一粒だけに栄養が行くのかな~
素的なブルー色に変わっていいきます(^-^)
斑入りヘンリーツダ♪
春先から、斑入りの綺麗な葉が魅力!
夏に小さな白い花を咲かせ~今は黒い実がなってます(^-^)
葉は地味ですが(๑≧౪≦)
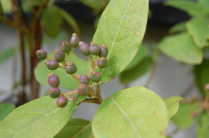
2年前から鉢植えで育ててるビバーナム♪
多分、鉢の中で根っこはパンパン(>_<)ですが、沢山の実を付けてくれました(^-^)
緑色~青色
もう少しすると~紺色にシルバー色がかかったシックな色合いの実に変わっていきます。
どの実も~鑑賞用で食べられませんが(^-^)
季節感のある実♪
切花として、生花のアレンジやリースづくりで楽しめる植物ですo(^o^)o



